
Luminocean vereint auf den Banda-Inseln Meeresforschung mit Bildung im Bereich Meeresschutz. Während eines Internships bei Luminocean lernen Studenten, Reisende, Schulabsolventen, Gap-Years und leidenschaftliche Taucher mehr über das Ökosystem Meer und nehmen selbst aktiv an Meeresbiologie-Projekten teil.
Luminocean unterstützt indonesische und ausländische Meereswissenschaftler logistisch darin, auf den Banda-Inseln langfristige, dem Meeresschutz dienende Forschungsprojekte durchführen zu können. Durch diese Zusammenarbeit erhalten Studenten der Banda-Inseln die Möglichkeit, ihre eigenen kleinen Projekte durchführen zu können.
Luminocean übernimmt für lokale Studenten dabei die Betreuung und Finanzierung. Wenn man also ein Internship bei Luminocean bucht, trägt man zur Ausbildung lokaler Studenten bei.
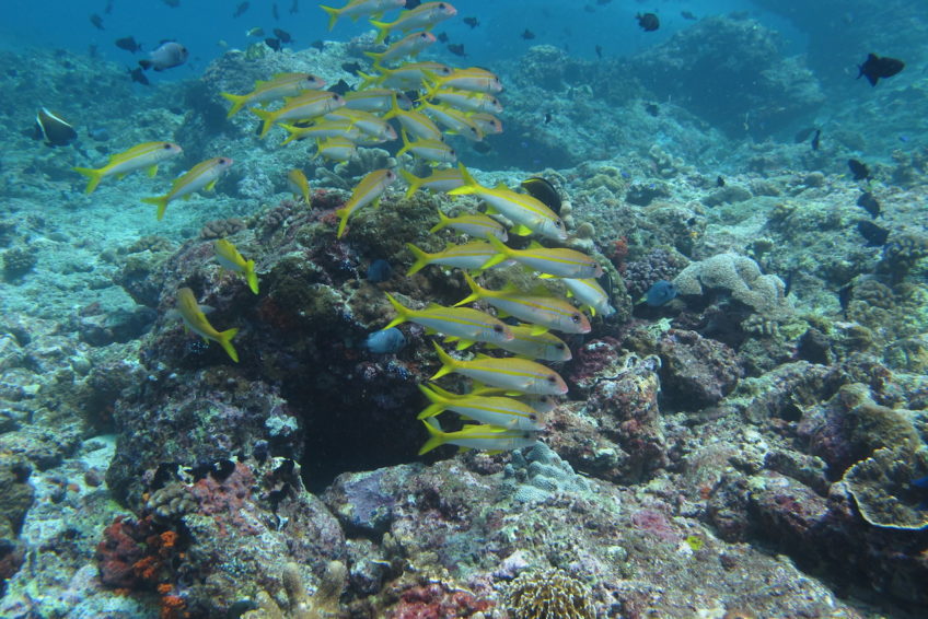
Während des Internships lernen Volontäre zunächst alle Methoden und theoretischen Hintergründe, die für die jeweiligen Forschungsprojekte relevant sind. Dabei wird viel Zeit im Wasser verbracht: jeden Tag wird ein- oder mehrmals geschnorchelt oder getaucht. Teil eines jeden Internships ist z.B. das Erlernen von vollständigen Surveys im Korallenriff. Danach wird man das Riff auf jeden Fall mit anderen Augen sehen.
Der Ort an dem die Internships stattfinden sind die traumhaften Banda-Inseln in den Molukken ganz im Osten Indonesiens. Die Banda-Inseln waren einst durch die Muskatnuss weltberühmt und gehören inzwischen zu den letzten Flecken Erde mit fast unberührter Unterwasserwelt und extrem gesunden Korallenriffen.
Internships bei Luminocean eignen sich bestens für Taucher, die schon viel gesehen haben und nun mehr über den blauen Lebensraum wissen wollen, für junge Leute die sich zwischen Schule und Studium oder zwischen Studium und Beruf befinden und praktische Erfahrung im Bereich Biologie, Meereswissenschaften oder Forschung sammeln wollen, oder einfach für diejenigen, die Taucherfahrung und jede Menge Tauchgänge sammeln wollen.
Highlights des Marine Conservation Internship
- aktiv Teilhaben an Meeresforschung
- zur Ausbildung lokaler Studenten beitragen
- Taucherfahrung sammeln
- Korallenriffe mit anderen Augen sehen
- Eintauchen in das Leben einer faszinierenden Inselgruppe Indonesiens
- Begegnungen mit Flashlight-Fischen und Hammerhaien

Features
Unterkunft & Verpflegung
- Unterkunft am Meer
- Einzel- und Doppelzimmer
- Frühstück und Mittagessen
- Abschiedsdinner
- WIFI
Inhalte
- Meeresbio-Literatur zur Verfügung
- Täglich Schnorcheln und Tauchen
- Boottrips
- Tauch-Tanks und Gewichte
- Erlernen von Riff-Surveys
- EcoDiver Zertifizierung
- Nachttauchgänge
- Fachvorträge im Bereich Meeresbiologie
Was ist nicht inbegriffen?
- Visum, Flug, Fähre
- Versicherungen
- Tauch Equipment (50 Euro / Woche)



























































